Land in High Halden
Plot 41, Ashford Road, High Halden TN26 3LX
- Property Type: Land
- Contract Type: Split fee
Guide Price* £5,000+ plus fees
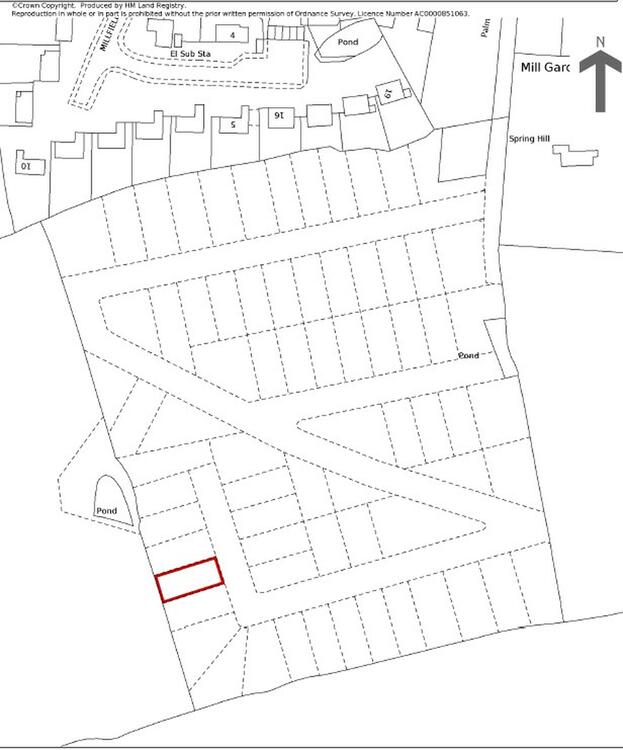
Property Description
A freehold parcel of land located just off the Ashford Road, High Haden, and can be accessed behind Millfield. The plot extends 0.06 Acers or thereabouts (2,613.6 Sq Ft) and sits within an affluent location. We feel there may be future development opportunities subject to planning. Interested parties are advised to inspect the legal pack prior to bidding. Value Added Tax We are advised that VAT will not be chargeable on this transaction. Viewings The site is open for viewings.
Note
Please be advised that the auctioneers have not personally inspected the land. Prospective buyers are advised to make a viewing enquiry and any other necessary independent enquiries before placing their bid, as this will be binding.
Draft Sales Details
These sales details are awaiting vendor approval.
Tenure
Freehold
Auction Details
Date 27th November 2025
Venue National Property Auction
Our national property auction will be broadcast online with live auctioneers. To bid by proxy, online, or by phone, please submit your registration form no later than 5pm the day before the auction.
Lot Information
Contact Us
If you have any questions, call our team on 0800 046 5454